Company Logo
SIGN UP LOG IN
Refine Search

S La Salle Street , Yale, MI 48097

$15,000
  • S La Salle Street , Yale, MI 48097 Main Photo

3 Total Photos [Click to View All]

Active
LOT SIZE 1.060 acres MLS#20251042083
STATUSActive PROPERTY TYPELand - Residential SUBDIVISIONDunrentin Heights SCHOOLYale

Property Description

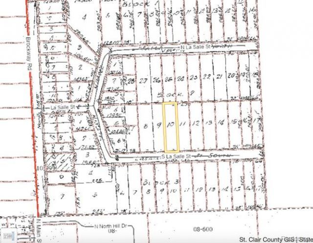
Listing is for 2 lots, 10-11. tax ID 74-10-250-0022-000 included in sale. Over an acre of subdivision land. Road is not currently installed, due diligence required.

S La Salle Street | MLS# 20251042083

This land located at S La Salle Street , Yale, MI 48097 is currently listed for sale with an asking price of $15,000. The property has approximately 1.06 Acres. S La Salle Street is located within the Yale school district. Search Yale real estate on www.griffithrealty.com today.

Property Features

Property Type: Land - Residential
Lot Size: 1.06 Acres

Feature Descriptions

Days on Site: 153
Lot Dimensions: 1.06 Acre(s)
Road Frontage: Dirt
Sewer: 3rd Party Unknown
Site: Wooded
Summer Tax: $62.0000
Water: Other
Winter Tax: $228.0000
Wooded: Yes

Local Schools

School District: Yale

Listed By / Shown By

Listed By

Agency Name: Unique Properties Real Estate
Agency Phone: (810) 387-9100

Shown By

Agency Title: Griffith Realty
Agency Phone: 810-227-1016

IDX logo

Estimate Your Payment

Estimated Payment

$ 37.76 per month $33.38 Principal & Interest $0.00 Property Tax (data not provided by mls) $4.38 Homeowner's Insurance

Change Payment Information

%
years/fixed
yearly
yearly (est.)
(Payments are an estimate and may vary by lender)

Login to My Homefinder

Pixel